基于SNA的新型集中社区公共空间网络结构优化 |
| 邹晴晴, 王勇, 李广斌 |
|
Network structure optimization of public space in new concentrated communities based on SNA |
| Qingqing ZOU, Yong WANG, Guangbin LI |
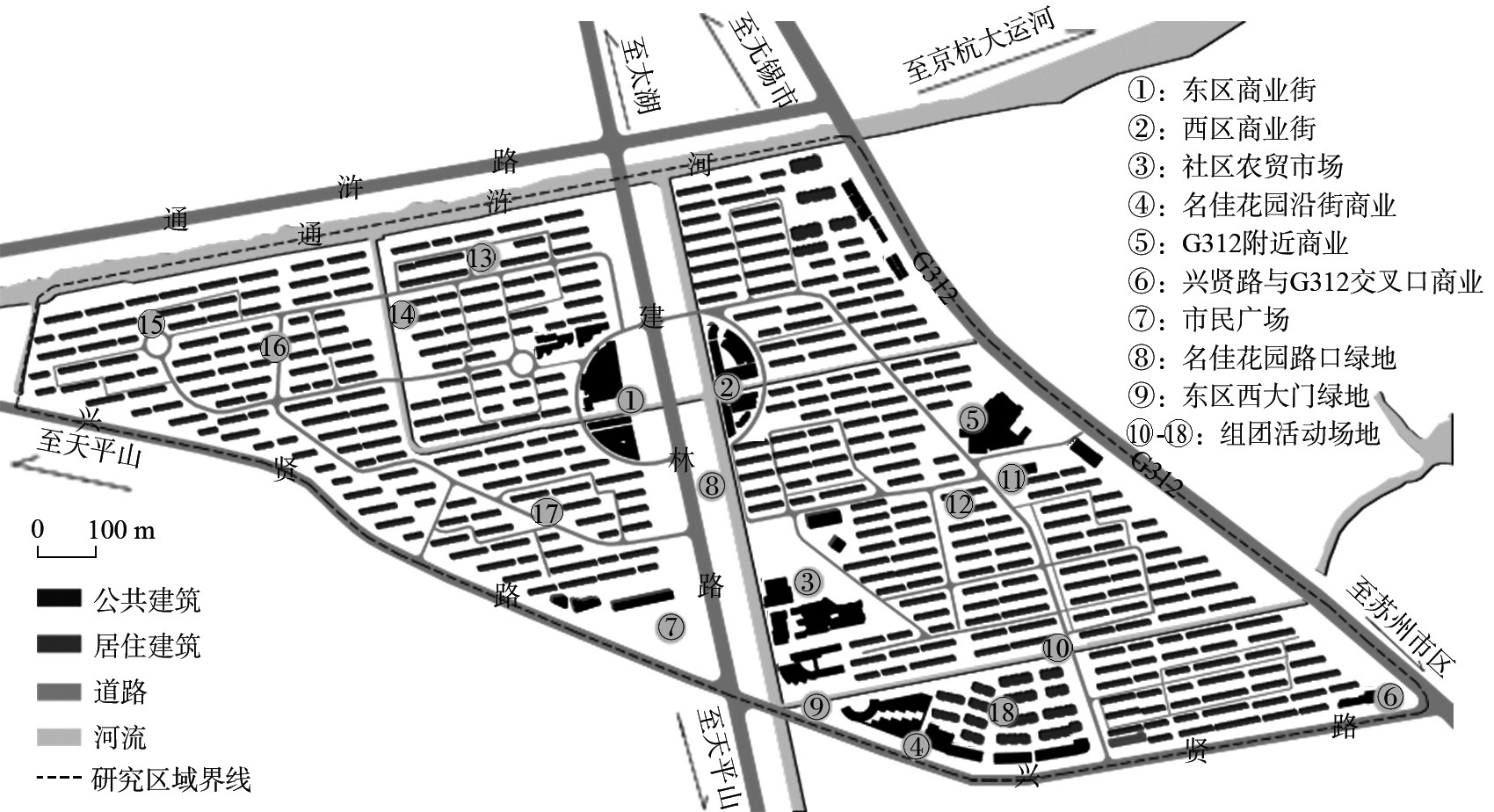
| 图2 D社区范围和公共空间节点 |
| Fig.2 Spatial extent and public space nodes of Community D |
|